Missing children identified in Pennsylvania flood
Officials have identified five people killed during the Bucks County flooding in Pennsylvania. Search continues as a mother and two children are still missing. LiveNOW from FOX host Giacomo Luca spoke to FOX 29's Hank Flynn on the ongoing situation.
Officials have identified five people killed during the Bucks County flooding in Pennsylvania. Search continues as a mother and two children are still missing. LiveNOW from FOX host Giacomo Luca spoke to FOX 29's Hank Flynn on the ongoing situation.
5 dead, 2 children still missing in PA floods
At least five people were killed Saturday and two children have been reported missing after flash flooding in eastern Pennsylvania. Officials said upwards of 7 inches of rain fell in about 45 minutes near Washington Crossing and the surrounding area of Bucks County, which resulted in rapid flooding and extensive damage. FOX 29 Philadelphia reported that the deluge overtook vehicles near a creek in the area around 5:30 p.m. EDT on Saturday. Bucks County Coroner Meredith Buck told reporters Monday that three victims were found Saturday and two on Sunday.
At least five people were killed Saturday and two children have been reported missing after flash flooding in eastern Pennsylvania. Officials said upwards of 7 inches of rain fell in about 45 minutes near Washington Crossing and the surrounding area of Bucks County, which resulted in rapid flooding and extensive damage. FOX 29 Philadelphia reported that the deluge overtook vehicles near a creek in the area around 5:30 p.m. EDT on Saturday. Bucks County Coroner Meredith Buck told reporters Monday that three victims were found Saturday and two on Sunday.
Historic rainfall causes KY flooding emergency
Historic rainfall levels prompted a Flash Flood Emergency in western Kentucky, including the town of Mayfield, Wednesday as storms continue to batter the region. LiveNOW's Andy Mac spoke with FOX News' Joy Addison about the damage from widespread flooding. More LiveNOW from FOX streaming video
Historic rainfall levels prompted a Flash Flood Emergency in western Kentucky, including the town of Mayfield, Wednesday as storms continue to batter the region. LiveNOW's Andy Mac spoke with FOX News' Joy Addison about the damage from widespread flooding. More LiveNOW from FOX streaming video
Massive dust storm near Phoenix
Since the monsoon season began in mid-June, the Phoenix area saw little storm activities, but that came to an end July 17. FOX 10 Phoenix meteorologist Krystal Ortiz and reporter Marissa Sarbak joined LiveNOW's Andrew Craft to discuss the first major dust storm or haboob of monsoon season. More LiveNOW from FOX streaming video
Since the monsoon season began in mid-June, the Phoenix area saw little storm activities, but that came to an end July 17. FOX 10 Phoenix meteorologist Krystal Ortiz and reporter Marissa Sarbak joined LiveNOW's Andrew Craft to discuss the first major dust storm or haboob of monsoon season. More LiveNOW from FOX streaming video
Deadly flooding: 3 dead, 4 missing in Pa.
At least three people are dead and four others missing, including a 5-month-old child, after extreme flooding in Bucks County, Pennsylvania. Officials said they believe this is a recovery effort, rather than a rescue effort, as of Sunday morning.
At least three people are dead and four others missing, including a 5-month-old child, after extreme flooding in Bucks County, Pennsylvania. Officials said they believe this is a recovery effort, rather than a rescue effort, as of Sunday morning.
Historic floodwaters recede in Vermont
More LiveNOW from FOX streaming video
More LiveNOW from FOX streaming video
Death Valley approaches 130 degrees
LiveNOW from FOX | Raw & unfiltered news
LiveNOW from FOX | Raw & unfiltered news
Vermont braces for more storms after floods
After being flooded earlier this week, Vermont is again facing a threat of heavy rain Thursday.
After being flooded earlier this week, Vermont is again facing a threat of heavy rain Thursday.
Tornado touches down in Chicagoland area
LiveNOW from FOX | Raw & unfiltered news
LiveNOW from FOX | Raw & unfiltered news
Railroad tracks suspended in air in Vermont after flooding
The day after the catastrophic flood in Ludlow, Vermont, is seen in drone video captured by Pat Moore on Tuesday, July 11, 2023.
The day after the catastrophic flood in Ludlow, Vermont, is seen in drone video captured by Pat Moore on Tuesday, July 11, 2023.
Subtropical Storm Don forms in Atlantic Ocean
Subtropical Storm Don as shown signs of recent organization, which prompted the NHC to begin issuing advisories early Friday.
Subtropical Storm Don as shown signs of recent organization, which prompted the NHC to begin issuing advisories early Friday.
Anchorage shaken as 5.4 earthquake strikes southern Alaska
The 5.4 quake struck just after 9:30 a.m. Alaska Time and was centered in a remote coastal area about 110 miles south of Anchorage.
The 5.4 quake struck just after 9:30 a.m. Alaska Time and was centered in a remote coastal area about 110 miles south of Anchorage.
Watch Live: Hurricane Melissa heads for Bermuda after causing devastation in Caribbean
Hurricane Melissa continues its devastating path across the Atlantic with a dangerous storm surge forecast for Bermuda on Thursday.
Hurricane Melissa continues its devastating path across the Atlantic with a dangerous storm surge forecast for Bermuda on Thursday.
Hurricane Melissa heads toward Bahamas
Colorado State University's Alex Desrosiers joins LiveNOW's Christina Evans to break down how Hurricane Melissa is affecting different parts of the Caribbean.
Colorado State University's Alex Desrosiers joins LiveNOW's Christina Evans to break down how Hurricane Melissa is affecting different parts of the Caribbean.
Watch Live: Hurricane Melissa death toll rises as storm heads for Bahamas
Hurricane Melissa made landfall Wednesday morning in Cuba as a powerful Category 3 hurricane with winds of 120 mph.
Hurricane Melissa made landfall Wednesday morning in Cuba as a powerful Category 3 hurricane with winds of 120 mph.
Hurricane Hunter on conditions in eye of Cat. 5 Melissa
Hurricane Hunter Dr. Josh Wadler joined LiveNOW from Fox's Stephanie Coueignoux to recall his experience flying directly into the eye of powerful Hurricane Melissa. His crew was forced to return to their base after experiencing heavy turbulence during one flight into the center of the Category 5 storm.
Hurricane Hunter Dr. Josh Wadler joined LiveNOW from Fox's Stephanie Coueignoux to recall his experience flying directly into the eye of powerful Hurricane Melissa. His crew was forced to return to their base after experiencing heavy turbulence during one flight into the center of the Category 5 storm.
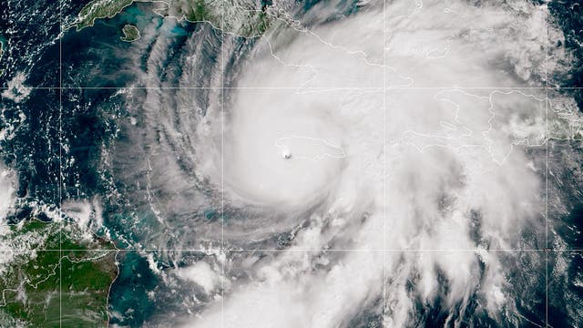
Hurricane Melissa makes landall in Cuba
Hurricane Melissa struck eastern Cuba early Wednesday as a Category 3 hurricane, following its earlier landfall in Jamaica on Tuesday as a powerful Category 5 storm that brought intense winds and heavy rain.
Hurricane Melissa struck eastern Cuba early Wednesday as a Category 3 hurricane, following its earlier landfall in Jamaica on Tuesday as a powerful Category 5 storm that brought intense winds and heavy rain.
Recovery efforts begin after Hurricane Melissa
We are learning more this evening after Hurricane Melissa made landfall in Jamaica early Tuesday afternoon. Early reports indicate that the massive storm has already turned deadly for some in the Caribbean. LiveNOW?s Mike Pache is speaking with James Judge from Project Dynamo as we learn more about recovery efforts after Melissa became the strongest hurricane to strike Jamaica since recordkeeping began 174 years ago.
We are learning more this evening after Hurricane Melissa made landfall in Jamaica early Tuesday afternoon. Early reports indicate that the massive storm has already turned deadly for some in the Caribbean. LiveNOW?s Mike Pache is speaking with James Judge from Project Dynamo as we learn more about recovery efforts after Melissa became the strongest hurricane to strike Jamaica since recordkeeping began 174 years ago.
Watch Live: Hurricane Melissa slams into Jamaica with 185-mph winds
Hurricane Melissa is making landfall in Jamaica as a catastrophic Category 5 storm, the strongest to hit the island since recordkeeping began 174 years ago.
Hurricane Melissa is making landfall in Jamaica as a catastrophic Category 5 storm, the strongest to hit the island since recordkeeping began 174 years ago.
NHC update on Hurricane Melissa
National Hurricane Center provides update on Hurricane Melissa after it made landfall in south-western Jamaica Tuesday afternoon.
National Hurricane Center provides update on Hurricane Melissa after it made landfall in south-western Jamaica Tuesday afternoon.



















